•Az utcának az Ady és Csengery utcák közötti része a régebbi: a pályaudvar építésekor létesült.
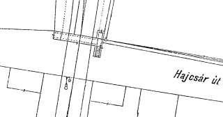
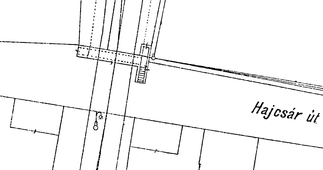
Téglából épített gyalogos aluljárója, a „tunel” (manapság sokan a már-már nyelvújító leleményességű „bújóhíd” néven emlegetik) 1870-ben készült. Ekkor zárta el sorompókkal a vasút az utca síneken átmenő részét.
Az aluljárót az 1980-as felújításakor erősen átalakították. Ezt megelőzően fából készült lépcsőkön juthatott a közlekedő a sínek alá.

1959
(A kép eredetije Vargha Ildikó [Miklós Zoltánné] birtokában.)

A jelenlegitől eltérő lejáratok az 1917-es térképen
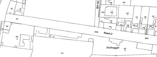
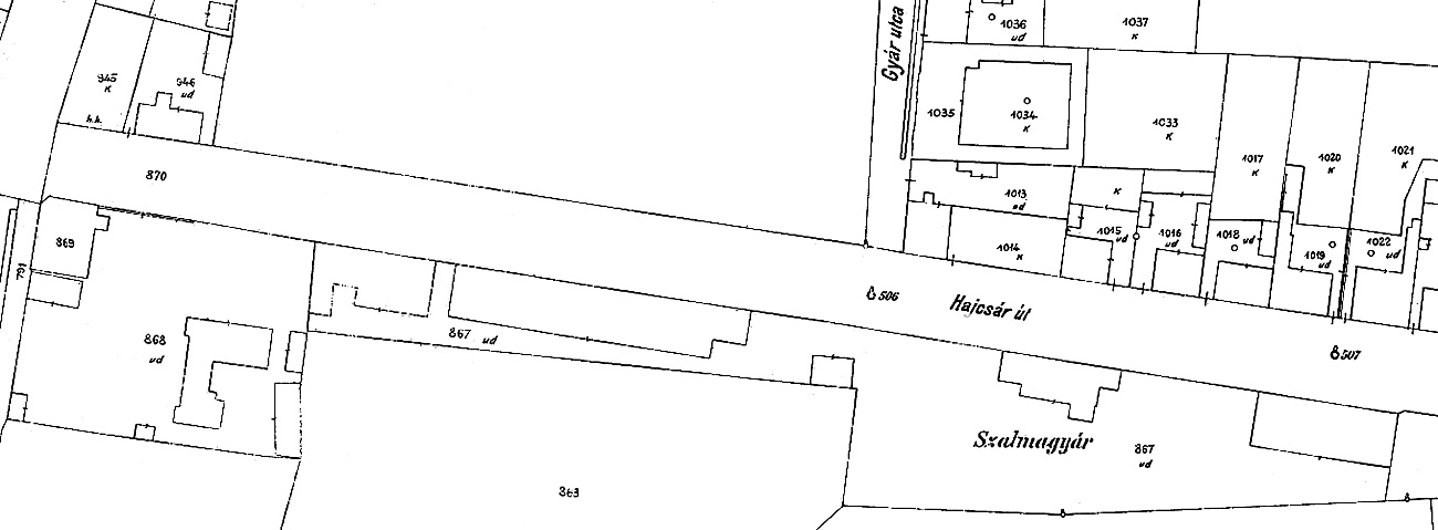
•Az utca keleti részének kialakítását 1880-ban kezdték el a Csengery utcába csatlakozó – akkor még rövid – résszel.
Megjegyzem, hogy egy 1870-es hír szerint a város olyan szerződést készült kötni a vasúttal, amely azt az aluljáró megépítésén túl az utca keleti része megnyitására is kötelezte volna.
Csorda kihajtása (1869)
1883-ban döntött a város a temető melletti marhakihajtó út kisajátításáról és megnyitásáról. Így kapta eredetileg az utca a Hajcsár nevet.
Az elnevezés nem volt alaptalan. Reggelente itt vonult ki a herceg csordája a legelőre, hogy aztán – dolga végeztével – a Csengery úton vonuljon vissza Fő úti istállójába.
Nagykanizsa, Erdész utca 1.a (valójában Csengery út 80.)
•Lásd: Csengery út 80.
Felújítás közben
Nagykanizsa, Erdész utca 2. (egyben Ady utca 63.)
•Lásd: Ady utca 63.
Nagykanizsa, Erdész utca 4.
•Lásd: Ady utca 63.
189. Nagykanizsa, Erdész utca 6. (egyben Csengery út 82.)
•Két évtizednyi sikertelen próbálkozás után 1898-ban a Nagykanizsai Kereskedők Társulata szervezésében végre rendeződni kezdett a városban a gabonakereskedelem számára régóta hiányzó tárházak létesítésének ügye: megalakult a Nagykanizsai Tárházak Rt.
Az első két épület a következő évben átadásra került. A kivitelezést a varasdi Willert Gyula vállalkozása végezte.
Hamarosan az előzők mögött felépült a harmadik, majd 1904-ben a negyedik épület. Utóbbit Morandini Román építette.
Ezek a raktárak hosszú, észak-dél irányban húzódó, fából készült építmények voltak, két párhuzamos sorban. Az Erdész utca mentén, oromfalukkal az utca felé fordulva állt a keleti 1. és a nyugati 2. sorszámú. Délebbre, az 1. raktár mögött volt a 3. és a 2. mögött a 4. Közöttük, a mai rakodó rámpa helyén húzódott a vasúti vágány.
Később két zömökebb, téglából emelt raktár is épült: a 3. mögött (déli irányban) a 6. és e mögött az 5.
1926
(Thúry György Múzeum.)
1973
(fentrol.hu)
A tárházak helye ma
A részvénytársaság gabonakereskedést folytatott az alpesi tartományok, Trieszt, Bécs, Fiume irányába. Már az első négy raktárnak 1000 vagon volt az együttes befogadóképessége.
1931
•A trianoni szerződés nyomán Kanizsa határváros lett. Ezért nyílt meg 1921-ben itt a fővámhivatali kirendeltség. Tisztviselői öt megyére kiterjedően végezték a vámkülszolgálatot.
Ugyan az 1924-es törvény a később felállítandó vámkerület központjának jelölte, az igények csökkenése miatt csak kirendeltség maradt. 1941-ben, amikor Nagykanizsa átmenetileg megszűnt határváros lenni, a hivatalt felszámolták.
•Ma már a raktárak egyike sem áll.
Nagykanizsa, Erdész utca 8. (egyben Csengery út 87.)
•Lásd: Csengery út 87.
190. Nagykanizsa, Erdész utca 10. (korábbi számozás szerint)
•1886-ban e helyre egy rongyraktár létesítését engedélyeztette Bettlheim W. Samu.
Ezt követően, 1892-ben az utca déli oldala mentén húzódó, keskeny, hosszú területen épült meg a „szalmagyár”. Előbb a Babochay (Gyár) utcától nyugatra eső rész készült el. Bettlheim Győző és Ede – Samu fiai – emeltették Sallér Lajos tervei szerint. Az építmények (két üzemi egység és egy szín a nyersanyag tárolására) kivitelezője valószínűleg maga a tervező volt.
1917-re a gyár telke – újabb épületekkel – keleti irányban duplájára bővült.

1917
(Az üzem telkének helyrajzi száma 867.)
Jelenleg az Erdész utca 10. és 18. számú, valamint a köztük lévő lakóházak állnak helyén.
Bettlheim Győző (kb. 1846-1938)
(Thúry György Múzeum.)
•A gyáralapítási ötletet a palackozott sörök forgalmazásának megkezdése tette megalapozottá. Az üzemben az italos palackok szállításához készítettek (egyetlenként az akkori országhatárokon belül) szalmahüvelyeket.
Másik termékük az építési nádszövet volt. (Ilyen gyár is csak három létezett akkoriban.) Bettlheim Győző egyike volt azoknak, akik elsőként kezdték használni ipari célokra a Balaton menti nádasokat.
1905 körül
Dolgozóik (jobbára nők) száma 50 és 200 között ingadozott. Megrendeléseik jelentős részét a monarchia többi országából és Európa nyugati részéből kapták.
1906
1920
A cég, amely terménykereskedelemmel is foglalkozott 1922-ben vált fizetésképtelenné. Ekkoriban már Bettlheim Győző és fia, az 1885-ben született Aladár tulajdonában működött. A csőd közeledtét érezve, Aladár 1921 utolsó napjai egyikén véget vetett életének. A termelés leállt, a hely elnéptelenedett.
Nem teljesen, mert időnként megengedték a környék teknővájóinak, hogy itt dolgozgassanak.
A mesterség egy terméke: egy komplett dagasztóteknő
(2017-ben, az Ady utca 39. szám alatti ház alagsorában.)
(Szántó Miklós jóvoltából.)
Az üzemet 1938-ban még szünetelő gyárként emlegették, de 1939-ben a család ajánlatot tett a városnak a telek parcellázására huszonkét családi ház építéséhez. Az 1940-es térkép már nem jelzi a hajdani üzem épületeit.
•Kunics Zsuzsa talált az adatra, amely szerint Bettlheim W. Samu még a gyár létesítése előtt, 1881-ben rongyraktár építésére kért engedélyt ugyanezen területre.
191. Nagykanizsa, Erdész utca 12. (korábbi számozás szerint)
•Most a 16. számú ház áll itt. 1886-ban ennek helyén létesítették a Sörgyár utcai járványkórház primitív elődjét, a „fertőtlenítőt”, amely négy szobával és egy ápolóval működött.
Méretét tekintve, az építményt a helyi lap bakterházhoz hasonlította.
A járványkórház elkészülésekor a területet a „szalmagyár” vette birtokba.
•A második világháborút követően a vállalat dolgozóinak itt épült fel újabb három sorház, négy-négy lakással, a MAORT lakótelepén már kialakult stílusban. Jelenleg a 16., a 18. és a 20. házszámot viselik. Többségük megjelenését tulajdonosaik már jelentősen átalakították.

Az Erdész utca 18.d szám alatti lakás külseje még nem változott sokat
192. Nagykanizsa, Erdész utca 23-27.
•Az első világháború előtt létesült az utca végén a Strém Bernát csonttelepe. A környéket elárasztó szagok még az 1930-as években is tiltakozásra késztették a közelben lakókat.
Telkén most a 23., 25. és 27. sorszámú házak állnak.
.



%20ÉK%20sarok.jpg)








